
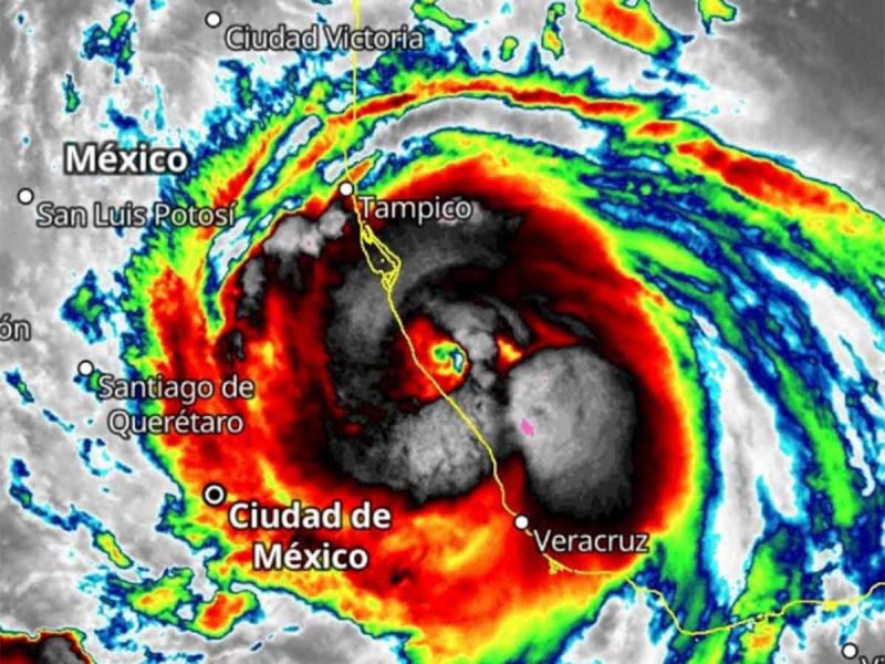
El poderoso Huracán “Grace” categoría 3 en la escala Saffir-Simpson tocó tierra poco después de las 00:00 horas en la zona de Tecolutla, al norte de Veracruz.
“Grace” ingresó con vientos máximos sostenidos de 195 kilómetros por hora y rachas de entre 200 y 250 kilómetros por hora. Afortunadamente no hay personas fallecidas ni lesionadas en Tecolutla.
Alerta máxima en Poza Rica, Papantla, San Rafael, Nautla y alrededores, en dirección a la Sierra de Puebla.
La extensión de la circulación del Huracán “Grace”, medida por las misiones de los aviones cazahuracanes de Estados Unidos, es de 600 kilómetros.
En estos momentos caen lluvias de intensas a torrenciales en localidades de Veracruz, Tabasco, Tamaulipas, San Luis Potosí, Hidalgo y Puebla.
Con información de Excélsior